Nosso site utiliza cookies para salvar seu histórico de uso e garantir uma melhor experiência. Ao continuar navegando você concorda com a nossa política de cookies e privacidade.

Prefeitura orienta sobre o aparecimento do bicho ‘barbeiro’ nas residências.

15/02/2021

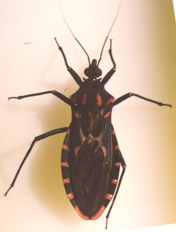
O aparecimento do bicho ‘barbeiro’ está cada vez mais comum nas residências, por isso a equipe de Controle de Vetor da Prefeitura de Paraíso, orienta sobre a importância de notificar caso seja encontrado.

A orientação é que ao encontrar um inseto parecido com o ‘barbeiro’, colocar em um recipiente com tampa e sem álcool, ou em um saco, mas sempre protegendo as mãos e entregar na Unidade Básica de saúde (UBS) ou Vigilância Sanitária.

Todo o inseto parecido com o ‘barbeiro’ será enviado para a Superintendência de Controle de Endemias (Sucen) para comprovar se é ou não o bicho ‘barbeiro’, e saber se está contaminado.

Educativo 

Durante o ano é desenvolvido um trabalho educativo sobre o ‘barbeiro’ nas escolas, mas devido a pandemia no ano passado não foi realizado. O trabalho educativo serve para incentivar a notificação.

O ‘barbeiro’ transmite a doença de chagas, que é causada pelo parasita Trypanosoma Cruzi, que circula no sangue e ataca o coração, esôfago, intestino, fígado e baço.

#barbeiro #prevencao

#prefeituraparaiso